Sign in
NEWS
World
Arab
Economy
Health
Entertainment
Sports
Tecnology
Sign in
Welcome!
Log into your account
your username
your password
Forgot your password?
Password recovery
Recover your password
your email
Search
Facebook
Instagram
Twitter
star`celebrity
Lifestyle, Fashion Trends and Culture
NEWS
World
Arab
Economy
Health
Entertainment
Sports
Tecnology
NEWS
World
Arab
Economy
Health
Entertainment
Sports
Tecnology
Facebook
Instagram
Twitter
star`celebrity
Lifestyle, Fashion Trends and Culture
NEWS
World
Arab
Economy
Health
Entertainment
Sports
Tecnology
type here...
Search
Home
BREAKING NEWS
Page 120
BREAKING NEWS
BREAKING NEWS
‘We can’t trust our government’: Man joins tens of thousands fleeing Russia’s draft
-
September 29, 2022
0
BREAKING NEWS
European security officials observed Russian Navy ships in vicinity of Nord Stream pipeline leaks
-
September 29, 2022
0
BREAKING NEWS
There’s a 98% chance of a global recession, research firm warns
-
September 28, 2022
0
BREAKING NEWS
US F-15 jet shoots down Iranian drone that appeared to threaten US forces in Iraq
-
September 28, 2022
0
BREAKING NEWS
‘Here comes the eyewall’: Storm chaser films inside Hurricane Ian
-
September 28, 2022
0
BREAKING NEWS
Liz Truss’s premiership has got off to the worst start possible
-
September 28, 2022
0
BREAKING NEWS
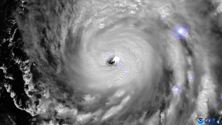
Stunning timelapse shows Hurricane Ian formation from space
-
September 28, 2022
0
BREAKING NEWS
Swedish intelligence launches ‘gross sabotage’ investigation into Nord Stream incident
-
September 28, 2022
0
BREAKING NEWS
Satellite images show 10-mile line of cars fleeing Russia
-
September 28, 2022
0
BREAKING NEWS
‘Do you think he’s well?’: Hear ex-CIA director’s answer about Putin
-
September 28, 2022
0
1
...
119
120
121
...
2,121
Page 120 of 2,121